Atlantic Hurricanes: Tracking Storms With Satellite Imagery

M.Myconferencesuite 69 views
Atlantic Hurricanes: Tracking Storms With Satellite Imagery

Atlantic Hurricanes: Tracking Storms with Satellite Imagery

Hey guys! Ever wondered how meteorologists keep such a close eye on those swirling behemoths out in the Atlantic? Well, a huge part of it comes down to the incredible technology of satellite imagery . The National Hurricane Center (NHC) relies heavily on these images to track, analyze, and predict the paths and intensities of hurricanes brewing in the Atlantic Ocean. Let’s dive into how these satellites work and why they’re so crucial for keeping us safe.

The Eyes in the Sky: Weather Satellites

When we talk about Atlantic hurricane monitoring, we’re mainly referring to two types of weather satellites: geostationary and polar-orbiting. Geostationary satellites, like those in the GOES (Geostationary Operational Environmental Satellite) series, hang out way up high, about 22,300 miles above the Earth. Their orbit is synchronized with the Earth’s rotation, meaning they stay fixed over a specific spot. This gives us a continuous, real-time view of the same area. Imagine having a camera permanently focused on the Atlantic, constantly streaming back images – that’s essentially what these satellites do! The advantage of geostationary satellites is their ability to provide constant monitoring, allowing forecasters to watch the development and movement of storms in real-time. This is invaluable for tracking rapidly intensifying hurricanes or sudden changes in direction. Think of it like watching a pot of water boil – you need to keep a constant eye on it to know when it’s about to overflow.

Polar-orbiting satellites, on the other hand, zip around the Earth in a north-south direction, passing over both poles. They’re much closer to Earth, typically orbiting at altitudes between 400 and 500 miles. Because of their lower altitude, they can capture much higher resolution images than geostationary satellites. However, they don’t provide continuous coverage of a single area. Instead, they scan different parts of the Earth as they orbit, providing a snapshot of various locations at different times. These satellites are especially useful for gathering detailed information about the structure of a hurricane, such as the size of the eye, the intensity of the rain bands, and the height of the storm clouds. This detailed information helps forecasters better understand the storm’s strength and potential for intensification. Polar-orbiting satellites are like having a high-powered microscope that allows you to examine the fine details of a hurricane, complementing the wide-angle view provided by geostationary satellites.

How Satellites “See” Hurricanes

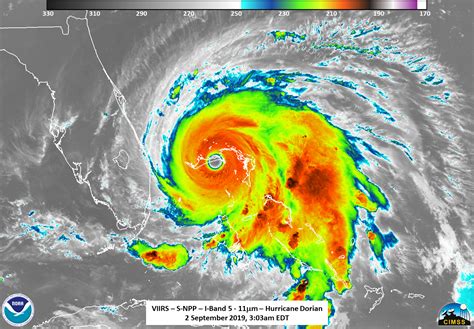
Satellites use a range of sensors to “see” hurricanes, even through clouds. The most common types of sensors are visible, infrared, and microwave. Visible sensors work much like a regular camera, capturing images of the Earth’s surface using sunlight. These images can show the shape and size of a hurricane, but they’re limited to daylight hours and can be obscured by clouds. Think of it like trying to take a picture on a cloudy day – the image will be dark and fuzzy. Infrared sensors measure the thermal radiation emitted by objects on Earth. This allows them to “see” the temperature of clouds and the Earth’s surface, even at night. Colder clouds are typically higher in the atmosphere and associated with stronger storms. Meteorologists use infrared imagery to identify areas of intense convection within a hurricane, which can indicate potential for further development. It’s like having a thermal imaging camera that can reveal the hot spots within a storm. Microwave sensors can penetrate clouds and rain, providing information about the storm’s internal structure, such as the intensity of rainfall and the distribution of water vapor. This is particularly useful for estimating the storm’s intensity and predicting its future track. Microwave sensors are like having X-ray vision, allowing you to see through the clouds and get a clear picture of what’s going on inside the hurricane. By combining data from all three types of sensors, meteorologists can get a comprehensive view of a hurricane, from its outer appearance to its inner workings. These data are used to create detailed models that predict the storm’s future path and intensity.

The National Hurricane Center’s Use of Satellite Data

The National Hurricane Center , or NHC, is the main hub for all things hurricane-related in the Atlantic. They’re the folks responsible for issuing warnings and forecasts, and they rely heavily on satellite data to do their job effectively. The NHC receives a constant stream of images and data from weather satellites, which are then analyzed by trained meteorologists. These experts use the satellite data to identify potential tropical cyclones, track their movement, and assess their intensity. The data is also fed into sophisticated computer models that predict the future path and strength of the storms. The models take into account a variety of factors, including the storm’s current position, its surrounding environment, and historical data. Satellite data is not only crucial for tracking existing hurricanes, but also for identifying areas where new storms may form. Meteorologists use satellite images to monitor areas of disturbed weather, such as tropical waves, that could potentially develop into tropical cyclones. By identifying these areas early, they can provide advance warning to communities that may be at risk. The NHC also uses satellite data to monitor the environment around a hurricane, such as sea surface temperatures and atmospheric conditions. These factors can influence the storm’s intensity and track, so it’s important to keep a close eye on them. All of this information is then synthesized into the forecasts and warnings that the NHC issues to the public. These forecasts are updated regularly, providing the most accurate and up-to-date information about the storm’s potential impact. The NHC’s use of satellite data has significantly improved the accuracy of hurricane forecasts, giving people more time to prepare and evacuate if necessary.

The Impact of Satellite Technology on Hurricane Forecasting

The advancements in satellite technology have revolutionized hurricane forecasting. Back in the day, before satellites were widely used, forecasters had to rely on ship reports and limited observations from coastal stations. This made it difficult to track storms accurately, especially those far out at sea. Early warning times were often short, and many communities were caught off guard by rapidly approaching hurricanes. But now, with the help of satellites, forecasters can detect and track hurricanes thousands of miles away, providing several days of advance warning. This extra time can make a huge difference in allowing people to prepare for the storm and evacuate if necessary. The increased accuracy of hurricane forecasts has also led to more effective emergency management. Emergency managers can use the forecasts to make informed decisions about evacuations, resource allocation, and other preparedness measures. This helps to minimize the impact of the storm and protect lives and property. Satellite technology has also played a crucial role in improving our understanding of hurricanes. By providing detailed information about the storm’s structure and environment, satellites have helped scientists to better understand how hurricanes form, intensify, and decay. This knowledge is essential for developing more accurate forecasting models and improving our ability to predict future hurricane activity. Furthermore, the data collected by satellites is used to validate and improve the computer models that predict hurricane behavior. By comparing the model’s predictions with the actual observed data, scientists can identify areas where the models need improvement and make adjustments to increase their accuracy. The ongoing development and refinement of satellite technology promise even more accurate and timely hurricane forecasts in the future. As new and improved satellites are launched, we can expect to see further advancements in our ability to track and predict these powerful storms.

Limitations and Future Improvements

Even with all the advancements in satellite technology, there are still limitations to what we can do. For example, accurately predicting the intensity of a hurricane remains a challenge. While satellites can provide valuable information about the storm’s structure and environment, it’s difficult to capture all the complex interactions that influence its intensity. Another limitation is the resolution of satellite images. While polar-orbiting satellites can provide high-resolution images, they only capture snapshots of the storm at specific times. Geostationary satellites provide continuous coverage, but their resolution is lower. This means that some of the finer details of the storm’s structure may be missed. Looking ahead, there are several areas where satellite technology could be improved to enhance hurricane forecasting. One area is the development of new sensors that can provide more detailed information about the storm’s internal structure. For example, new radar systems could be developed to measure the wind speeds within the storm more accurately. Another area is the development of more sophisticated computer models that can better simulate the complex processes that drive hurricane behavior. These models would need to take into account a wide range of factors, including atmospheric conditions, ocean temperatures, and land surface characteristics. Finally, there is a need for better communication and coordination between different agencies involved in hurricane forecasting. This includes sharing data and expertise, as well as developing common protocols for issuing warnings and forecasts. By addressing these limitations and pursuing these improvements, we can continue to enhance our ability to track and predict hurricanes and protect communities at risk. So, the next time you see a hurricane churning in the Atlantic, remember the incredible technology and the dedicated people working behind the scenes to keep us safe!