Category 5 Hurricane: The Ultimate Trailer Guide

M.Myconferencesuite 128 views
Category 5 Hurricane: The Ultimate Trailer Guide

The Unpredictable Fury: Understanding Category 5 Hurricanes

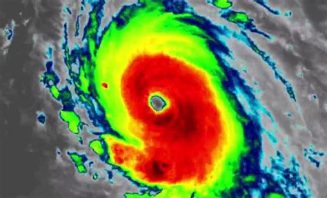
Hey everyone! Today, we’re diving deep into something pretty intense: Category 5 hurricanes . You hear about them, you see the devastating aftermath on the news, but what exactly makes a storm reach this terrifying level? It’s all about the wind speeds, guys. A Category 5 storm, according to the Saffir-Simpson Hurricane Wind Scale, packs sustained winds of 157 miles per hour or higher . That’s faster than most cars on the highway, and it’s this incredible force that causes catastrophic damage. Think about it – winds that strong can rip roofs off well-built homes, snap mature trees like twigs, and turn debris into deadly projectiles. The sheer power is almost incomprehensible, and it’s why these storms are the absolute worst-case scenario for coastal communities. Understanding the science behind these monstrous weather events is the first step in appreciating their destructive potential and the importance of preparedness.

The formation of a Category 5 hurricane is a complex process that begins over warm ocean waters. These storms are essentially giant heat engines, fueled by the evaporation of warm seawater. As moist air rises and cools, it condenses, releasing latent heat that further powers the storm. This continuous cycle can lead to rapid intensification, especially when conditions are just right – low wind shear (meaning the winds at different altitudes aren’t changing much in speed or direction), sufficient ocean heat content, and a pre-existing disturbance in the atmosphere. When these elements align, a tropical storm can quickly escalate into a hurricane and then, terrifyingly, into a major hurricane, eventually reaching Category 5 status. The path and intensity of these storms are influenced by a myriad of atmospheric factors, making them notoriously difficult to predict with absolute certainty, even with today’s advanced technology. The energy involved is immense, comparable to multiple nuclear bombs detonated every second. This immense power is what allows a Category 5 storm to reshape coastlines and devastate entire regions.

The impact of a Category 5 hurricane goes far beyond just the wind. While the winds are the defining characteristic, they are often accompanied by a devastating storm surge, torrential rainfall, and widespread flooding. The storm surge, a rise in sea level caused by the hurricane’s winds pushing water ashore, can be especially deadly. In a Category 5 storm, this surge can reach heights of 18 feet or more , inundating coastal areas and causing unimaginable destruction. Imagine a wall of water that high crashing into your home – it’s a terrifying thought. Furthermore, the heavy rainfall associated with these storms can lead to severe inland flooding, as rivers and streams overflow their banks, trapping people and causing damage far from the coast. The combination of extreme winds, a massive storm surge, and relentless rain makes Category 5 hurricanes an existential threat to affected regions. Recovery efforts are often long, arduous, and incredibly expensive, with communities needing years, sometimes decades, to rebuild. The psychological toll on survivors is also profound, with the trauma of experiencing such an event lingering long after the physical damage has been repaired.

The Saffir-Simpson Scale: How We Measure Hurricane Might

So, how do we actually rank these storms? That’s where the Saffir-Simpson Hurricane Wind Scale comes in, guys. This is the system meteorologists use to categorize hurricanes based on their sustained wind speed. It’s a simple, yet crucial, tool for communicating the potential danger associated with a storm. The scale ranges from Category 1 to Category 5. Category 1 storms have sustained winds of 74-95 mph, Category 2 has winds of 96-110 mph, Category 3 and 4 are considered major hurricanes with winds of 111-129 mph and 130-156 mph, respectively. And then, you have the big kahuna: Category 5 . As we mentioned, these have winds of 157 mph or higher . It’s important to remember that this scale only measures wind speed. It doesn’t directly account for other devastating aspects like storm surge, rainfall, or the size of the storm, which can all contribute significantly to the overall damage. However, the wind speed is a primary indicator of destructive potential, and reaching Category 5 status signifies a storm of the highest magnitude. When a storm reaches this level, it’s a clear signal for mandatory evacuations and extreme preparedness measures. The scale provides a common language for emergency managers, government officials, and the public to understand the threat and take appropriate action.

It’s also worth noting that the Saffir-Simpson scale is primarily used in the Atlantic and Northeast Pacific basins. Other regions have their own tropical cyclone scales. The categories are not just arbitrary numbers; they are directly linked to the expected damage. A Category 1 storm can cause significant damage, especially to mobile homes and trees. As you move up the scale, the damage potential increases exponentially. By the time you reach Category 3, you’re talking about major damage to well-constructed homes. A Category 4 storm brings catastrophic damage, and Category 5 represents the absolute worst-case scenario, where complete structural failure of many well-built homes can occur. This scale helps people visualize the level of threat and the urgency required for response. For example, knowing a storm is a Category 5 immediately tells you that sheltering in place is likely not an option for most people, and evacuation orders must be heeded without delay. The scale provides context and urgency, transforming abstract meteorological data into actionable warnings for the public.

While the Saffir-Simpson scale is a valuable tool, it’s not the only factor that determines the impact of a hurricane. The size of the storm, its forward speed, the angle of approach to the coast, and the topography of the land all play critical roles. A smaller, faster-moving Category 5 might cause less widespread damage than a larger, slower-moving Category 4. Similarly, a storm hitting a low-lying, flat coast will experience a more significant storm surge than one hitting a mountainous coastline. Meteorologists also consider these other factors when issuing forecasts and warnings. However, the Saffir-**Simpson scale remains the primary benchmark for communicating the intensity of hurricanes, and reaching Category 5 is always a cause for extreme concern and preparedness. The scale is a constant reminder of nature’s raw power and the importance of respecting its forces.

Category 5 Hurricane Trailers: A Glimpse into the Storm’s Power

When we talk about