Florida Hurricane: Live Satellite Views

M.Myconferencesuite 67 views
Florida Hurricane: Live Satellite Views

Florida Hurricane: Live Satellite Views

Hey everyone! Today, we’re diving deep into something super important, especially if you live in or have loved ones in the Sunshine State: Florida hurricane activity as seen from space. You know, when those big storms start brewing, the first thing many of us want is a bird’s-eye view, right? That’s where satellite imagery comes into play, and it’s an absolute game-changer for tracking and understanding these powerful forces of nature. We’re going to explore how you can access these incredible live satellite views and what they can tell us about impending hurricanes that threaten Florida .

Understanding Hurricane Formation and Satellite Data

So, how do these colossal storms even form, and why are satellite views of Florida hurricanes so crucial? It all starts over warm ocean waters. When the surface temperature of the ocean reaches about 80 degrees Fahrenheit (26.5 degrees Celsius) or higher, it provides the perfect fuel for a tropical disturbance. Think of it like a giant engine getting revved up. Warm, moist air begins to rise, and as it does, it cools and condenses, forming clouds and thunderstorms. If the conditions are right – meaning there’s low wind shear and enough moisture – these storms can start to organize. This is where the magic of satellite technology truly shines. Satellites orbiting the Earth are equipped with various sensors that can detect these changes. They can see the swirling cloud patterns, measure the temperature of the clouds, and even estimate the wind speed within the storm. For Florida , which is a peninsula jutting out into the Atlantic and Gulf of Mexico, understanding the development and track of a hurricane is not just about curiosity; it’s about safety and preparedness . Early detection and accurate tracking, largely thanks to satellite data , allow authorities to issue timely warnings, enabling residents to evacuate if necessary and secure their properties. The satellite perspective gives us an unparalleled view of the storm’s structure, intensity, and direction, helping meteorologists make more accurate forecasts. Without these live satellite views , predicting the path and strength of a Florida hurricane would be exponentially more difficult, putting millions of lives at greater risk. The constant stream of data from satellites like GOES (Geostationary Operational Environmental Satellite) provides a continuous, high-resolution look at weather systems across the Americas, offering a vital early warning system.

Where to Find Live Satellite Views of Florida Hurricanes

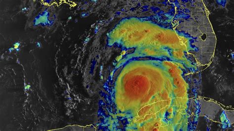
Now for the good stuff, guys! If you’re on the edge of your seat waiting for the latest on a Florida hurricane , you’re probably wondering, “Where can I actually see these live satellite views ?” Don’t worry, we’ve got you covered. Several fantastic resources provide real-time or near real-time satellite imagery that can help you stay informed. The National Hurricane Center (NHC) is your go-to official source. They use data from various satellites , including GOES-16 and GOES-17, to provide high-resolution visible and infrared imagery, as well as water vapor imagery. You can find these directly on their website, often with loop functions that show the storm’s recent movement. NOAA (National Oceanic and Atmospheric Administration) also has a wealth of resources. Their website often features enhanced satellite loops specifically for tropical cyclones. Websites like TropicalTidbits.com are incredibly popular among weather enthusiasts and professionals alike because they aggregate data from multiple sources, including various satellite products, radar, and forecast models, presenting it in an easy-to-understand format. Many local news stations in Florida also embed live satellite feeds or loops on their websites during storm events. These are usually quite user-friendly and focus on the immediate threat to the local area. For a more global perspective, you can even check out international meteorological agency websites, which sometimes offer different satellite views or processing techniques. The key is to look for imagery that is updated frequently – ideally hourly or even more often during active storm periods. Pay attention to the different types of imagery: visible light shows you what the storm looks like from space during the day (like a high-definition photo), infrared shows the cloud-top temperatures (colder clouds often mean stronger storms), and water vapor imagery highlights moisture content. By combining these different satellite views , you get a much more comprehensive picture of a Florida hurricane and its potential impact.

Interpreting Satellite Imagery for Hurricane Strength and Track

Alright, let’s get a bit more technical, but don’t worry, we’ll keep it chill. Understanding hurricane satellite imagery isn’t just about seeing pretty clouds; it’s about deciphering clues to a storm’s intensity and predicting its future path. Meteorologists use a variety of techniques, and you can learn to spot some key indicators yourself when viewing live satellite views of a Florida hurricane . First off, look at the storm’s structure. A well-organized hurricane will have a distinct, symmetric circular shape with tightly curved bands of thunderstorms spiraling into a central core. If you see a defined eye , that’s a strong sign of a powerful and mature hurricane . The eye is a calm area at the center of the storm, and its presence, especially if clear and distinct in visible imagery, often indicates significant strength. The surrounding eyewall, where the most intense winds and rainfall occur, will be very clear and dense. Another crucial indicator is cloud-top temperature, best seen in infrared satellite imagery . The colder the cloud tops, the higher they are, and the stronger the updrafts are within the storm. Meteorologists look for very cold cloud tops (often below -70°C or -94°F) surrounding the eye. Areas of rapidly warming cloud tops can sometimes indicate that the storm is weakening. When it comes to predicting the track, satellites help by showing the storm’s position and the steering currents around it. Meteorologists analyze the large-scale weather patterns – high-pressure ridges and low-pressure troughs – that act like rivers of air, guiding the hurricane . Satellite data allows them to see these features and how they are interacting with the storm. While satellite imagery provides critical data, it’s usually combined with other tools like reconnaissance aircraft (which fly directly into the storm) and computer forecast models for the most accurate predictions. But for us regular folks, recognizing a well-defined eye and tightly wrapped spiral bands on a satellite view is a good indication that a Florida hurricane is a serious threat. It’s like reading the storm’s vital signs from afar.

The Role of Satellites in Hurricane Preparedness for Florida

When we talk about hurricane preparedness for Florida , satellite technology plays an absolutely vital role. It’s not just about looking at pretty pictures; it’s about saving lives and protecting property. The earlier and more accurately we can track a hurricane , the more time emergency managers and residents have to prepare. Satellites provide that crucial lead time. Think about it: a satellite can see a storm developing hundreds or even thousands of miles offshore, long before it would be detectable by ground-based radar or ships. This allows the National Hurricane Center to issue watches and warnings well in advance. For Florida , a state with a long coastline and millions of people living in vulnerable areas, this advance notice is priceless. It gives people time to gather hurricane supplies , board up windows, and, most importantly, evacuate if they are in an evacuation zone. Furthermore, satellite imagery helps in understanding the potential impact of a hurricane . By analyzing the storm’s size, intensity, and predicted track, officials can better estimate the areas most likely to experience damaging winds, heavy rainfall leading to flooding, and dangerous storm surge. This information is critical for resource allocation – positioning emergency responders, setting up shelters, and coordinating evacuation routes. Post-storm satellite imagery is also invaluable for damage assessment. After a hurricane makes landfall, satellites can provide aerial views of the affected areas, helping authorities quickly identify heavily damaged regions, assess the extent of destruction, and prioritize rescue and recovery efforts. This is particularly helpful in areas that may be cut off by flooding or debris. So, the next time you see those mesmerizing, swirling images of a Florida hurricane from space, remember that they represent a sophisticated system working tirelessly to keep us safe. It’s a powerful reminder of how technology aids in our preparedness and response to these natural disasters, ensuring that communities can take the necessary actions to minimize harm and recover more effectively.

Future of Hurricane Tracking with Advanced Satellite Technology

Looking ahead, the future of hurricane tracking for Florida and beyond is incredibly exciting, thanks largely to leaps in advanced satellite technology . We’re moving beyond just seeing the clouds; we’re gaining the ability to peer deeper into the heart of these storms and gather even more precise data. Geostationary satellites like the GOES-R series (GOES-16, -17, and the upcoming -18) are already revolutionizing the game. They offer significantly higher resolution imagery, faster scan times (meaning we can see changes in the storm more rapidly), and a broader range of atmospheric measurements. Future satellites will likely incorporate even more sophisticated sensors. Imagine satellites that can precisely measure wind speeds at different altitudes within the storm using advanced radar or lidar techniques, or sensors that can better detect lightning activity, which is sometimes correlated with storm intensification. There’s also a push towards better integration of data from various sources – not just NOAA and international satellites , but also data from commercial satellite providers, drones, and even crowdsourced information. This integrated approach, often referred to as a ‘digital twin’ of the atmosphere, will provide an unprecedented, holistic view of weather systems. For Florida , this means potentially even more accurate forecasts, allowing for more targeted warnings and evacuations. It could lead to smarter resource management during storm events and faster, more efficient recovery efforts post-storm. The goal is to refine our understanding of hurricane dynamics – how they form, how they strengthen or weaken, and precisely where they will go. While satellites won’t eliminate the threat of hurricanes , advanced technology promises to make us smarter, better prepared, and ultimately safer when facing these inevitable storms. The constant innovation in satellite observation is our best bet for mitigating the impact of future Florida hurricanes , giving us the critical information needed to protect lives and property.

So, the next time a storm is on the horizon for the Sunshine State, remember to check out those live satellite views . They’re not just mesmerizing; they’re vital tools for staying safe and informed. Stay safe out there, guys!