Hurricane Dorian's Devastation: A Deep Dive

M.Myconferencesuite 147 views
Hurricane Dorian's Devastation: A Deep Dive

Hurricane Dorian’s Devastation: A Deep Dive

Hey there, weather enthusiasts and curious minds! Let’s embark on a journey to understand the sheer power and impact of Hurricane Dorian , a storm that etched its name in history. This article will be a deep dive into Dorian’s fury, exploring its path, the devastation it wrought, and the lessons we’ve learned. So, buckle up, grab your virtual umbrellas, and let’s get started!

The Genesis and Path of Hurricane Dorian

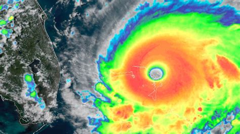
Alright, guys, let’s rewind to the beginning. The story of Hurricane Dorian begins in the warm waters of the Atlantic Ocean, near the Lesser Antilles. Here, a tropical wave, fueled by the warm ocean temperatures and atmospheric instability, began to organize. As the system tracked westward, it gradually strengthened, transforming into a tropical depression and then a tropical storm. Finally, on August 24, 2019, Dorian officially became a hurricane.

But Dorian wasn’t just any hurricane; it was a beast. Its journey was a relentless march of intensification. As it moved toward the Bahamas, it found ideal conditions for growth. Warm water, low wind shear, and a favorable environment allowed it to rapidly intensify. This process is known as rapid intensification, and it’s what makes hurricanes so unpredictable and dangerous. Dorian’s intensity skyrocketed, transforming it into a Category 5 hurricane, the highest classification on the Saffir-Simpson Hurricane Wind Scale. Picture this: winds screaming at over 185 mph, gusting even higher, and a pressure that plunged to record lows. This was a monster of a storm.

The path Dorian took was particularly cruel. It hovered over the Bahamas for an extended period, unleashing its full fury on the islands of Abaco and Grand Bahama. Its slow forward speed meant that the islands were subjected to hours upon hours of devastating winds, torrential rain, and a deadly storm surge. The storm then tracked up the eastern coast of the United States, thankfully weakening slightly as it moved over cooler waters, but still causing significant impacts in coastal areas from Florida to the Carolinas. It’s important to remember that the path a hurricane takes is influenced by a complex interplay of atmospheric conditions, including steering currents, high- and low-pressure systems, and the Coriolis effect. Understanding these factors is crucial for predicting a hurricane’s track and potential impacts, which helps in evacuation planning and disaster preparedness.

The evolution of a hurricane, from a mere disturbance to a raging storm, is a complex process. Factors like warm ocean waters, low wind shear, and atmospheric instability play key roles in its intensification. As the hurricane moves, it interacts with its environment, which influences its track, intensity, and impacts. The story of Dorian is a stark reminder of the devastating potential of these natural phenomena. It highlights the importance of understanding hurricane formation, forecasting, and the need for robust disaster preparedness measures to mitigate the impacts of these powerful storms.

Devastation and Impact: A Look at the Aftermath

Now, let’s talk about the aftermath. The devastation caused by Hurricane Dorian was nothing short of catastrophic. The Bahamas bore the brunt of Dorian’s wrath, with Abaco and Grand Bahama islands suffering the most extensive damage. The sheer scale of destruction was almost unfathomable. Homes were flattened, infrastructure was obliterated, and the landscape was forever altered. Imagine the scenes: buildings reduced to rubble, trees stripped bare, and communities struggling to survive amidst the debris. The storm surge, a wall of water pushed ashore by the hurricane’s powerful winds, inundated coastal areas, washing away everything in its path.

The impact on the human population was equally devastating. Thousands of people were displaced, losing their homes and possessions. The death toll was heartbreaking, and countless individuals were left injured or missing. The emotional toll was immense, with survivors grappling with the trauma of loss and the uncertainty of the future. Basic necessities like food, water, and medical care were scarce, and the task of providing relief and support was a massive undertaking. The stories of survival and resilience that emerged from the wreckage were both inspiring and heartbreaking, showcasing the indomitable human spirit in the face of unimaginable adversity.

Beyond the immediate impacts, Dorian’s effects extended to the environment. The storm caused widespread coastal erosion, damaged coral reefs, and disrupted delicate ecosystems. The destruction of infrastructure also led to environmental hazards, such as fuel spills and the release of pollutants. The recovery process, both for the human population and the environment, was long and challenging, requiring extensive resources and international assistance.

As the world watched the aftermath unfold, it became clear that the impacts of a hurricane extend far beyond the immediate damage. The destruction of homes and infrastructure leads to displacement, homelessness, and economic hardship. The loss of life leaves behind grieving families and communities. The environmental damage can have long-lasting consequences for ecosystems and the planet. This is why it is so important to support recovery efforts, learn from past events, and strengthen preparedness measures for future storms. The aftermath of Dorian serves as a stark reminder of the need for both immediate aid and long-term investment in building resilient communities that can withstand the impacts of climate change and extreme weather events. The focus must be on mitigating the risks associated with these powerful storms, while simultaneously providing the support and resources needed to heal and rebuild after a disaster.

Lessons Learned and Future Preparedness

Okay, so what can we learn from Hurricane Dorian to better prepare for future storms? First and foremost, the importance of accurate forecasting and timely warnings cannot be overstated. Improvements in weather models and satellite technology have significantly enhanced our ability to predict hurricanes, but there is always room for improvement. Continuous investment in research and development is crucial for refining our forecasting capabilities and ensuring that communities have ample time to prepare and evacuate if necessary. This includes better communication strategies to reach all segments of the population, including those who may be vulnerable or have limited access to information.

Secondly, effective disaster preparedness is paramount. This involves a multi-faceted approach, including robust building codes, well-defined evacuation plans, and readily available resources for emergency response. Communities must invest in infrastructure that can withstand the impacts of hurricanes, such as reinforced buildings, flood control measures, and resilient power grids. Evacuation plans should be regularly updated and practiced, with clear routes and designated shelters. Emergency response teams must be trained and equipped to provide immediate assistance in the event of a disaster. It is crucial to remember that preparedness is not just the responsibility of government agencies; it requires the active participation of individuals, communities, and organizations.

Thirdly, understanding the role of climate change is crucial. While individual hurricanes cannot be directly attributed to climate change, rising global temperatures are contributing to warmer ocean waters, which can fuel more intense hurricanes. Additionally, sea levels are rising, increasing the risk of storm surge and coastal flooding. Addressing climate change through mitigation efforts, such as reducing greenhouse gas emissions, is essential to minimizing the future impacts of hurricanes. Adaptation strategies, such as coastal protection measures and improved building codes, are also necessary to build resilience to the impacts of climate change.

Finally, international cooperation and support are essential. Hurricanes do not respect borders, and the impacts of these storms can extend far beyond the areas directly affected. Sharing resources, expertise, and best practices is crucial for ensuring that communities around the world are prepared for and able to respond to these disasters. This includes providing humanitarian assistance to affected areas, coordinating relief efforts, and supporting long-term recovery initiatives. The lessons learned from Hurricane Dorian are valuable for all of us, providing essential insights into how to prepare for, respond to, and recover from these devastating storms. By embracing these lessons and working together, we can build more resilient communities and protect lives and property in the face of future hurricanes.

Conclusion

So, there you have it, folks! Hurricane Dorian , a storm that will forever be etched in history. Its path, its power, and the devastation it caused serve as a stark reminder of the raw power of nature and the importance of preparedness. By understanding the lessons learned from Dorian, we can work towards building more resilient communities and mitigating the impacts of future hurricanes. Stay informed, stay prepared, and let’s continue to support those who are affected by these powerful storms. Thanks for joining me on this deep dive – until next time, stay safe and weather-aware!