Hurricane From Satellite View: A Complete Guide

M.Myconferencesuite 124 views
Hurricane From Satellite View: A Complete Guide

Hurricane From Satellite View: A Complete Guide

Hey guys! Ever wondered what a hurricane looks like from space? It’s pretty mind-blowing, right? In this article, we’re diving deep into the world of hurricane satellite imagery . We’ll explore how satellites view these massive storms, what we can learn from them, and how this incredible technology helps us track and prepare for hurricanes. Buckle up, because we’re about to take a virtual trip to the eye of the storm – from a safe distance, of course!

Satellite View of a Hurricane : A Unique Perspective

Alright, let’s kick things off with a simple question: why do we even need satellites to look at hurricanes? Well, picture this: you’re trying to understand a massive, swirling storm system that stretches hundreds of miles across the ocean. Ground-based observations are super important, but they have their limits. They can only see what’s happening in a specific area, and it can be difficult to get a complete picture. That’s where satellites come in, offering a unique and comprehensive perspective .

Satellites provide a bird’s-eye view, allowing us to see the entire hurricane system at once. They can monitor the storm’s development, track its path, and measure its intensity. This is absolutely crucial for issuing accurate forecasts and warnings. Without this, we’d be flying blind, relying on guesswork and outdated information. Satellites act as our eyes in the sky, constantly scanning the oceans and providing vital data to meteorologists and emergency responders. The data that these satellites collect helps us in so many ways. Firstly, satellites collect data about the wind speed and direction , so experts can study the behavior and intensity of the storm. Secondly, they provide us with a detailed image of the clouds that are surrounding the storm, which helps experts to understand the structure of the storm, as well as its development. Finally, they also monitor the sea surface temperature , which helps us understand the relationship between the hurricane and its environment. It’s like having a team of dedicated weather watchers orbiting the Earth, keeping a close eye on any potential threats. The use of satellites has revolutionized the way we track and understand hurricanes, allowing us to prepare for and mitigate their effects more effectively than ever before. Satellites can also monitor the rainfall , that is associated with the hurricane, which is very important for understanding the potential for flooding and other hazards.

There are different types of satellites used for hurricane monitoring, each with its own specific capabilities. Some satellites use visible light to capture images of the storm, similar to a regular camera. These images provide a visual representation of the hurricane’s structure and cloud patterns. Other satellites use infrared radiation to measure the temperature of the cloud tops. Colder cloud tops indicate stronger thunderstorms and a more intense hurricane. Then there are satellites that use microwave radiation , that can penetrate through clouds and provide information about the storm’s rainfall and wind speed. This multi-faceted approach allows meteorologists to gather a complete picture of the hurricane, from its surface to its upper atmosphere.

Hurricane Satellite Imagery : Decoding the Visuals

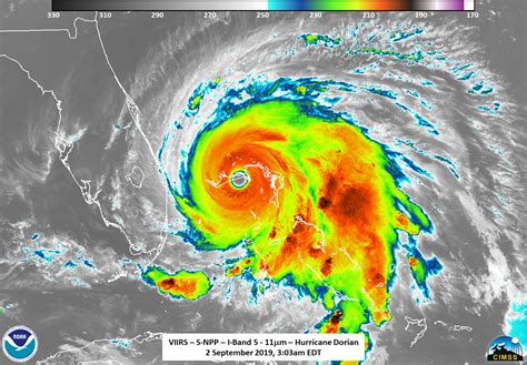
Now, let’s talk about what we actually see in those hurricane satellite images . It’s not just pretty pictures, folks. Every color, every swirl, and every cloud formation tells a story. Understanding these visuals is key to interpreting the storm’s behavior. The most common type of images are visible satellite images . These images use the same principles as the common cameras that we all know and use. They show us what the storm would look like if we were to look at it from space on a clear day. We can see the swirling bands of clouds, the eye of the hurricane, and the overall structure of the storm. The eye is often a clear or lightly clouded area in the center of the storm. It’s where the air is sinking and the winds are relatively calm. This is why it seems like a clear day in the middle of a storm. The clouds in the eyewall, which surrounds the eye, are very tall and intense, with the strongest winds and heaviest rainfall. The swirling bands of clouds that make up the rest of the hurricane are called rainbands. They’re like arms that spiral outward from the center, bringing rain and wind to different areas. Meteorologists use the appearance of these rainbands to understand the storm’s overall structure and intensity.

Then there are infrared satellite images . These images measure the temperature of the cloud tops. Colder cloud tops indicate stronger thunderstorms and a more intense hurricane. They also offer crucial information, even at night or when the weather is cloudy. In an infrared image, the coldest temperatures, and therefore the most intense storms, are often shown in bright colors, such as white or red. Warmer temperatures are often shown in shades of gray or black. By analyzing these color patterns, meteorologists can determine the location of the storm’s strongest thunderstorms and the overall intensity of the storm. These images are particularly useful for assessing the size, intensity and the structure of the hurricane, because they provide a continuous view of the storms, whether it’s day or night.

Finally, we have microwave satellite images , that penetrate through clouds and provide information about the storm’s rainfall and wind speed. This is crucial because it allows scientists to see what’s happening inside the hurricane, even when it’s covered in thick clouds. These images are particularly helpful for understanding the hurricane’s rainfall rates, which can help predict the potential for flooding, and also give us insight into the intensity of the storm’s winds. By combining the data from visible, infrared, and microwave images, meteorologists can create a comprehensive picture of the hurricane, allowing them to track its path, predict its intensity, and warn people of potential hazards.

How Do Satellites View Hurricanes : The Technology Behind the Scenes

Alright, let’s get into the nitty-gritty of how satellites view hurricanes . It’s a marvel of modern technology, blending advanced sensors, complex algorithms, and good old-fashioned physics. The satellites use various instruments to gather data, each designed to capture a specific type of information.

One of the most important instruments is the radiometer . It measures the amount of electromagnetic radiation emitted or reflected by the Earth and the atmosphere. By analyzing the radiation, scientists can determine the temperature of the sea surface, cloud tops, and other features. This data is critical for understanding the intensity of the hurricane. Another important instrument is the scatterometer , which sends microwave pulses to the ocean surface and measures the amount of energy that is scattered back. This helps determine wind speed and direction near the surface of the ocean. The scatterometer is especially valuable for measuring winds in areas that are not easily accessible by other means. Satellites also carry imagers , which capture visual and infrared images of the Earth. These images provide a detailed view of the storm’s structure, including the eye, eyewall, and rainbands. Different types of imagers are used to capture different types of information, such as visible light, infrared radiation, and microwave radiation. The data collected by these instruments is then processed using complex algorithms. These algorithms convert the raw data into usable information, such as wind speeds, temperatures, and rainfall rates. The processed data is then transmitted to ground stations, where meteorologists and other scientists analyze it to gain a better understanding of the hurricane. The satellites that are used for hurricane monitoring are usually in a variety of orbits, including geostationary orbits and polar orbits . Geostationary satellites orbit the Earth at the same rate that the Earth rotates, so they remain over a specific location. These satellites provide continuous monitoring of a particular area, which is important for tracking hurricanes. Polar-orbiting satellites orbit the Earth from pole to pole. These satellites provide global coverage, which allows scientists to monitor hurricanes in different parts of the world. The combination of different types of satellites and instruments provides a comprehensive view of hurricanes, helping scientists to track their path, predict their intensity, and warn people of potential hazards.

What Can We Learn from Satellite Imagery of Hurricanes : Insights and Discoveries

So, what can we actually learn from all this hurricane satellite imagery ? The answer is: a whole lot! Satellite data provides a wealth of information that helps us understand hurricanes better than ever before. We can see the storm’s structure and evolution . Satellite imagery allows us to track the development of the storm, from its initial formation to its eventual dissipation. We can see the eye, the eyewall, and the rainbands, and observe how these features change over time. This information helps us to understand the hurricane’s intensity and its potential for growth. We can get wind speed and direction measurements . Scatterometers and other instruments can measure the speed and direction of the winds near the surface of the ocean. This information is crucial for predicting the storm’s path and intensity. We can also measure the sea surface temperature . The sea surface temperature is a critical factor in hurricane formation and intensification. Satellites can measure the sea surface temperature and track how it changes over time. This information helps meteorologists to predict how a hurricane will intensify or weaken. By analyzing all of these aspects, scientists are able to create a complete and accurate picture of the hurricane and its potential impacts. This information is critical for issuing accurate forecasts and warnings, which can save lives and protect property. We can also monitor rainfall and precipitation patterns . Satellites can measure the amount of rainfall within the storm system, which is critical for predicting the potential for flooding. They can also monitor the precipitation patterns, such as the location of the heaviest rainfall and the movement of the rainbands. Finally, satellite imagery helps us understand the interaction between the hurricane and the environment . Satellites can monitor a variety of environmental factors, such as sea surface temperature, wind shear, and atmospheric humidity. This information is critical for understanding how the environment influences the hurricane’s development and intensity. By combining all of this information, scientists can gain a deeper understanding of hurricanes and their potential impacts.

Hurricane Tracking with Satellites : Forecasting the Future

Hurricane tracking with satellites is a cornerstone of modern hurricane forecasting. Satellites provide continuous real-time data, allowing meteorologists to monitor the storm’s location, intensity, and movement with unprecedented accuracy. The constant stream of information from satellites enables forecasters to create more accurate and reliable forecasts, giving people more time to prepare and protect themselves from the impacts of the storm.

How the tracking works First, the satellites use a range of instruments to collect data. This data is then sent to ground stations, where it’s processed and analyzed. Meteorologists use this information to determine the storm’s location, intensity, and movement. The data from the satellites is combined with data from other sources, such as weather stations, aircraft, and radar, to create a comprehensive picture of the storm. The tracking process relies heavily on various types of satellite data . For example, visible satellite images show the overall structure of the storm, including the eye, eyewall, and rainbands. Infrared images measure the temperature of the cloud tops, which helps to determine the intensity of the storm. Microwave images can penetrate through clouds and provide information about rainfall and wind speed. This process also includes using advanced forecasting models . These models use the data from the satellites and other sources to predict the storm’s future path and intensity. The models take into account various factors, such as the storm’s current location, intensity, and movement, as well as the environmental conditions, such as wind shear and sea surface temperature. Different models are used to create a range of possible scenarios, which helps to assess the potential impacts of the storm. The benefits of satellite tracking are numerous. First, it provides early warnings. The ability to monitor storms in real-time allows forecasters to issue warnings well in advance of the storm’s arrival. This gives people more time to prepare, evacuate, and protect themselves. Second, it helps improve the accuracy of forecasts. The data from the satellites helps to improve the accuracy of the storm’s track, intensity, and timing. This is crucial for making informed decisions about evacuations, resource allocation, and other preparations. Third, it reduces the loss of life and property. By providing accurate and timely forecasts, satellite tracking helps to reduce the loss of life and property from hurricanes. This is particularly important for vulnerable communities that are at risk from storm surges, flooding, and high winds. Satellite tracking has revolutionized the way that we monitor and predict hurricanes, allowing us to protect communities from these devastating storms.

Satellite Technology for Hurricane Monitoring : The Future is Now!

Satellite technology for hurricane monitoring is constantly evolving, with new advancements emerging all the time. The future of hurricane monitoring is bright, with many exciting developments on the horizon. Here are some of the key trends and advancements:

New satellite missions and instruments: We can expect to see new satellites launched with even more advanced sensors and instruments. These satellites will be capable of collecting more detailed and accurate data about hurricanes, including their wind speed, rainfall, and cloud structure. The new instruments will also be able to measure more environmental factors, such as sea surface temperature, wind shear, and atmospheric humidity. These advances will provide a more comprehensive picture of the hurricane and its potential impacts. One of the most promising areas of development is the use of artificial intelligence (AI) and machine learning (ML) . These technologies are being used to analyze satellite data and improve the accuracy of hurricane forecasts. AI and ML algorithms can identify patterns and trends in the data that humans might miss, helping to create more accurate and reliable forecasts. This will also help to develop new methods of hurricane tracking and prediction, as well as improve the understanding of hurricane dynamics. Another area of focus is on improving the resolution and frequency of satellite observations . This will allow scientists to monitor hurricanes with greater detail and accuracy. Scientists are also working on improving the ability to track the hurricane’s impacts. This includes developing new models to predict storm surge, flooding, and other hazards. By using this technology, we will be able to get early warnings, and mitigate the impacts of future storms. Overall, these technological advancements will allow scientists to improve the accuracy of hurricane forecasts, and reduce the loss of life and property from these devastating storms. These advancements will make hurricane monitoring even more effective and will help to protect people around the world.

Conclusion: Looking Ahead

So, there you have it, guys! A glimpse into the amazing world of hurricane satellite imagery . From providing a unique perspective to enabling life-saving forecasts, satellites are an indispensable tool in our fight against these powerful storms. The future is looking bright, with continued advancements in technology promising even more accurate and timely information. Stay safe out there, and keep an eye on the skies – and the satellites watching over us! And always remember to stay informed and heed the warnings from weather experts. Until next time, happy observing!