Hurricane Matthew Satellite Imagery: A Visual Deep Dive

M.Myconferencesuite 108 views
Hurricane Matthew Satellite Imagery: A Visual Deep Dive

Hurricane Matthew Satellite Imagery: A Visual Deep Dive

Hey everyone! Today, we’re diving deep into something super cool and also, frankly, a little bit terrifying: Hurricane Matthew satellite imagery . We’re going to explore what these images can tell us about one of the most powerful storms to hit the Atlantic in recent memory. When we talk about Hurricane Matthew satellite images , we’re not just looking at pretty pictures; we’re looking at vital data that helps scientists understand, track, and predict the path of these massive weather systems. These images are captured by satellites orbiting Earth, equipped with sophisticated sensors that can peer through clouds and detect the storm’s structure, intensity, and movement. It’s like having an eye in the sky, giving us a bird’s-eye view of nature’s raw power. Understanding the visual cues within these satellite images is crucial for issuing timely warnings and ensuring people have enough time to prepare and evacuate if necessary. We’ll break down what makes these images so important, what different types of imagery exist, and how they’ve been instrumental in tracking the devastating path of Hurricane Matthew. So, buckle up, guys, because we’re about to embark on a journey through the science and visual narrative of a major hurricane.

Understanding the Anatomy of a Hurricane Through Satellite Images

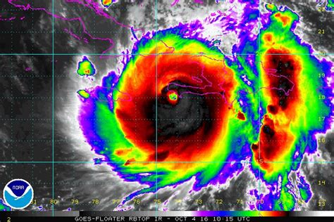
When we look at Hurricane Matthew satellite images , the first thing that often strikes us is the swirling, organized cloud pattern. This organized structure is a hallmark of a mature and powerful hurricane. The central, clear area is known as the eye of the storm. It’s the calm at the center of the chaos, but surrounding it is the eyewall, the most intense part of the hurricane, characterized by the strongest winds and heaviest rainfall. Satellite imagery, particularly infrared and visible light images, allows us to see this structure clearly. Visible light images, taken during the day, show us the clouds in their full glory, revealing the spiral bands that wrap around the storm’s core. We can literally see the storm rotating and developing. Infrared imagery, on the other hand, is captured day and night and uses temperature differences to depict cloud top heights. Colder cloud tops, appearing in shades of white or yellow in these images, indicate very high cloud tops, which are associated with powerful updrafts and intense thunderstorms – key indicators of a strong storm. The key takeaway from these satellite views is the storm’s organization and intensity. A poorly organized storm with ragged cloud bands is less concerning than a tightly wound system with a well-defined eye. Hurricane Matthew satellite images often showed a classic, symmetrical structure, a visual cue that it was a formidable force. Meteorologists use these visual cues, combined with other data like wind speed measurements, to classify the storm’s category on the Saffir-Simpson Hurricane Wind Scale. So, next time you see a satellite image of a hurricane, remember you’re not just seeing clouds; you’re seeing the storm’s vital signs, laid bare for analysis and understanding.

Different Types of Satellite Imagery and What They Reveal

So, what exactly are we looking at when we see Hurricane Matthew satellite images ? It’s not just one type of picture, guys. Different satellite sensors capture different aspects of the storm, providing a comprehensive picture for meteorologists. Let’s break down the main types: Visible Satellite Imagery is probably the most intuitive. These images are like taking a picture with a regular camera from space. They show us the clouds, the storm’s overall shape, and its spiral bands. However, they only work during daylight hours. They are fantastic for visualizing the storm’s structure and extent, letting us see that iconic swirling pattern clearly. Infrared (IR) Satellite Imagery is a game-changer because it works 24 7 . Instead of light, it measures temperature. The top of clouds that are very cold (meaning they are very high up, pushed there by strong updrafts) appear in different colors (often white or red) than warmer clouds or the surface of the ocean. This helps us understand the storm’s intensity. The colder the cloud tops in the eyewall, the stronger the storm is likely to be. Water Vapor Imagery is another cool one. This type of imagery shows us where moisture is located in the atmosphere, even in areas without clouds. It helps meteorologists understand the flow of air and moisture feeding into the storm, giving insights into its potential for strengthening or weakening. Microwave Imagery , while not always shown to the public, is incredibly powerful. These sensors can penetrate clouds, allowing scientists to see the storm’s inner core structure, like the eyewall and rainbands, even when visible or infrared imagery is obscured by thick clouds. The power of combining these different types of satellite data is immense. For Hurricane Matthew satellite images , meteorologists would have been looking at visible images to see the overall structure, IR images to gauge intensity, and water vapor images to understand moisture transport. This multi-faceted approach is what allows for accurate tracking and forecasting. It’s like assembling a puzzle where each piece of imagery provides a unique and critical clue about the storm’s behavior.

Tracking Hurricane Matthew’s Journey: Insights from Satellite Data

When Hurricane Matthew satellite images started appearing, they painted a picture of a truly formidable storm. Matthew was a Category 5 hurricane at its peak, and the satellite imagery clearly showed its immense power and impressive structure. We could track its journey across the Caribbean and up the coast of the United States, with each image providing crucial updates. Early on, as Matthew moved through the Caribbean, satellite views showed a tightly organized storm with a distinct eye, indicating its strength. These early Hurricane Matthew satellite images were vital for warning countries like Haiti, Cuba, and the Bahamas about the impending danger. As it churned northward, approaching Florida, the satellite data allowed forecasters to monitor its intensity and trajectory with remarkable precision. The visible imagery showcased the vast extent of its cloud shield, while the infrared data confirmed the presence of extremely cold cloud tops in the eyewall, consistent with major hurricane status. The nuances in the imagery, such as slight shifts in the storm’s center or changes in the shape of the eyewall, were closely scrutinized by meteorologists. These subtle changes can indicate fluctuations in intensity or potential changes in direction. The ability to see the storm’s structure evolve in near real-time through satellite feeds was instrumental in issuing timely evacuation orders and public advisories. For instance, slight wobbles in the storm’s track seen on satellite could lead to adjustments in landfall predictions, giving coastal communities more accurate information to act upon. Hurricane Matthew satellite images became a critical tool in understanding not just where the storm was going, but also how it was behaving – its intensity, its speed, and the overall threat it posed. This continuous stream of visual information is the backbone of modern hurricane forecasting, helping to save lives and minimize damage.

The Impact of Satellite Imagery on Hurricane Preparedness

Guys, let’s talk about the real-world impact of all this cool Hurricane Matthew satellite imagery : it’s all about preparedness . Seriously, these images aren’t just for scientists; they are the foundation upon which public safety decisions are made. When a storm like Matthew forms, the satellite data is the first and most consistent source of information. Forecasters analyze these images religiously, looking for signs of organization, intensification, and changes in track. This analysis directly translates into the warnings and advisories that are issued to the public. Think about it: when you see those swirling clouds on the news, that’s often derived from satellite data. The clarity and detail provided by modern satellite technology mean that the predicted path and intensity of a hurricane can be communicated with increasing accuracy. This accuracy is absolutely crucial for effective evacuation planning. If a community knows they are in the direct path of a powerful hurricane, as indicated by detailed Hurricane Matthew satellite images and subsequent analysis, they have a better chance of getting out of harm’s way. Furthermore, the imagery helps emergency managers understand the potential scale of the disaster. It helps them position resources, like search and rescue teams and medical supplies, in advance of the storm’s arrival. The visual evidence from satellites also plays a role in public awareness and education. Seeing the sheer size and power of a storm like Matthew depicted in satellite imagery can underscore the seriousness of official warnings and encourage people to take necessary precautions, such as securing their homes and stocking up on essential supplies. Without this constant stream of data from space, our ability to forecast and prepare for major hurricanes would be significantly diminished. Hurricane Matthew satellite images serve as a stark reminder of the power of nature and the indispensable role of technology in helping us navigate its challenges.

Future of Satellite Technology and Hurricane Monitoring

Looking ahead, the future of Hurricane Matthew satellite imagery and hurricane monitoring in general is incredibly exciting, guys. Technology is constantly evolving, and with it, our ability to observe and understand these massive storms gets better and better. We’re talking about new generations of satellites equipped with even more advanced sensors. These sensors will offer higher resolution, allowing us to see finer details of storm structure and potentially detect subtle changes that could signal rapid intensification – a phenomenon that is still challenging to predict. The integration of artificial intelligence (AI) and machine learning (ML) is also set to revolutionize hurricane forecasting. AI algorithms can analyze vast amounts of satellite data, along with other meteorological information, much faster than humans, identifying patterns and making predictions with increasing accuracy. Imagine AI systems that can process Hurricane Matthew satellite images from the moment a storm forms, providing continuous updates and refined forecasts. Furthermore, there’s a push for more sophisticated polar-orbiting satellites that can provide more frequent and comprehensive coverage of the tropics. Currently, geostationary satellites provide constant views of a particular region, but polar-orbiting satellites offer a global perspective and can capture different atmospheric data. Combining data from both types of orbits will give us an even more complete picture. The development of advanced microwave and radar technologies on these satellites will also improve our ability to peer inside the storm’s core, bypassing cloud cover to gain critical insights into wind speeds and rainfall rates. Ultimately, the goal is to improve the accuracy and lead time of hurricane forecasts, saving more lives and reducing the economic impact of these devastating events. The evolution of satellite technology promises a future where we are even better equipped to face the challenges posed by storms like Hurricane Matthew. It’s all about using cutting-edge tech to stay one step ahead of nature’s fury. The continuous advancement in satellite imagery for hurricanes means we’re always learning and improving our response.