Hurricane Tracker: Live Radar Updates From NOAA

M.Myconferencesuite 76 views
Hurricane Tracker: Live Radar Updates From NOAA

Hurricane Tracker: Live Radar Updates from NOAA

Hey guys! Ever wondered how to keep tabs on hurricanes in real-time? Well, you’ve come to the right place. In this article, we’re diving deep into using live radar updates from NOAA (National Oceanic and Atmospheric Administration) to track hurricanes. Knowing how to access and interpret this data can be a game-changer when it comes to staying safe and informed.

Understanding Hurricane Tracking

Hurricane tracking involves monitoring the path, intensity, and speed of a hurricane as it moves across the ocean and potentially towards land. This isn’t just about knowing where a storm is right now; it’s about predicting where it’s going and how strong it will be when it gets there. Various tools and technologies are used for this purpose, but live radar from NOAA is one of the most vital.

Why NOAA?

NOAA is the go-to authority for all things weather-related in the United States. They have a comprehensive suite of resources, including satellites, buoys, and high-powered radars, that continuously collect data about weather patterns. This data is then processed and made available to the public, helping everyone from meteorologists to everyday citizens stay informed.

How Live Radar Works

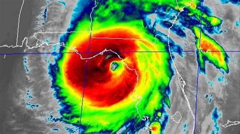
Live radar works by sending out electromagnetic waves that bounce off objects in the atmosphere, such as raindrops. The radar then measures the strength and timing of these returning signals to determine the location, intensity, and movement of precipitation. In the context of hurricanes, radar can show the storm’s structure, including the eye, rainbands, and overall size. Modern radar systems like Doppler radar can even measure the speed and direction of the wind within the storm.

Accessing NOAA’s Live Hurricane Radar

Okay, so how do you actually get your hands on this live radar data? Thankfully, NOAA makes it pretty accessible through various channels.

NOAA Websites and Apps

The most direct way to access NOAA’s live hurricane radar is through their official websites. The National Weather Service (NWS), a branch of NOAA, provides detailed radar maps and forecasts. Here’s how you can typically access them:

  1. Visit the NWS Website: Go to the official website of the National Weather Service ( weather.gov ).
  2. Navigate to the Radar Section: Look for a section labeled “Radar” or “Weather Radar.” This might be in the main navigation or under a specific weather event.
  3. Find Your Region: Zoom in on the map to find the region you’re interested in, particularly if a hurricane is approaching that area.
  4. View Live Radar: You should see an animated radar map showing current weather conditions, including any hurricanes.

NOAA also offers mobile apps that provide similar radar data directly to your smartphone. These apps are super handy because they give you real-time updates and alerts no matter where you are.

Third-Party Weather Websites and Apps

In addition to NOAA’s resources, numerous third-party weather websites and apps pull data from NOAA and present it in user-friendly formats. Popular options include The Weather Channel, AccuWeather, and Windy. These platforms often offer enhanced features such as customizable alerts, detailed forecasts, and historical data.

Tips for Using Radar Effectively

  • Understand the Color Codes: Radar maps use color codes to indicate the intensity of precipitation. Typically, green and yellow represent light to moderate rain, while red and purple indicate heavy rain or even hail.
  • Look for the Eye: The eye of the hurricane is usually a clear, calm center surrounded by intense thunderstorms. Spotting the eye on the radar can give you a good sense of the storm’s location and direction.
  • Pay Attention to Movement: Radar maps are animated, showing the movement of weather patterns over time. This can help you predict where the hurricane is headed.

Interpreting Radar Data

Alright, you’ve got the live radar up on your screen. Now what? Interpreting radar data can seem tricky, but here’s a breakdown to help you make sense of it.

Identifying Key Features

  • The Eye: As mentioned earlier, the eye is the calm center of the hurricane. It appears as a circular or oval-shaped area with little to no precipitation on the radar.
  • Rainbands: These are bands of heavy rain and thunderstorms that spiral inward toward the eye. They can extend for hundreds of miles and are often associated with strong winds and flooding.
  • Eyewall: The eyewall is the ring of intense thunderstorms immediately surrounding the eye. This is where the strongest winds and heaviest rainfall are typically found.

Understanding Intensity

The color codes on the radar map indicate the intensity of the precipitation. Generally, darker colors represent heavier rainfall. Keep an eye on these color changes, as they can indicate whether the hurricane is intensifying or weakening.

Tracking Movement

Radar animations show the movement of the hurricane over time. Pay attention to the direction and speed of the storm, as this will help you anticipate its future path. Also, be aware that hurricanes can change direction suddenly, so it’s important to stay updated with the latest forecasts.

Additional Resources from NOAA

Besides live radar, NOAA offers a wealth of other resources for tracking hurricanes. Here are some of the most useful:

Hurricane Forecasts

NOAA’s National Hurricane Center (NHC) provides detailed forecasts that include the predicted path, intensity, and timing of hurricanes. These forecasts are updated regularly and are essential for emergency planning.

Satellite Imagery

Satellite images provide a broader view of the hurricane, showing its size, shape, and overall structure. These images can be particularly useful for tracking storms over the open ocean.

Advisories and Warnings

NOAA issues advisories and warnings to alert the public about potential hazards associated with hurricanes. These alerts include information about storm surge, flooding, high winds, and other dangers. Make sure to heed these warnings and take appropriate action to protect yourself and your property.

Staying Safe During a Hurricane

Tracking hurricanes is important, but it’s even more crucial to know how to stay safe when one is approaching. Here are some essential tips:

Prepare an Emergency Kit

Put together an emergency kit that includes food, water, medications, a flashlight, a radio, and other essential supplies. Make sure everyone in your family knows where the kit is located.

Develop a Family Plan

Create a family plan that outlines what to do in case of a hurricane. This should include evacuation routes, communication strategies, and meeting points.

Stay Informed

Monitor NOAA’s forecasts, advisories, and warnings regularly. Stay tuned to local news and weather reports for the latest updates.

Evacuate if Necessary

If you’re ordered to evacuate, do so immediately. Don’t wait until the last minute, as roads can become congested and dangerous.

Secure Your Home

If you’re not evacuating, take steps to secure your home. Board up windows, bring in outdoor furniture, and trim trees that could fall on your house.

Conclusion

So, there you have it! Tracking hurricanes with live radar from NOAA is a powerful way to stay informed and protect yourself and your loved ones. By understanding how to access and interpret radar data, you can make better decisions and take the necessary steps to stay safe. Remember to use NOAA’s other resources, such as forecasts, satellite imagery, and advisories, to get a comprehensive picture of the storm. Stay safe out there, guys!