IHurricane Sky View: Real-Time Weather Insights

M.Myconferencesuite 70 views
IHurricane Sky View: Real-Time Weather Insights

iHurricane Sky View: Real-Time Weather Insights

Hey there, weather enthusiasts and safety-conscious folks! Today, we’re diving deep into something truly incredible: iHurricane Sky View . This isn’t just another weather app, guys; it’s a game-changer for anyone who needs to stay ahead of Mother Nature’s unpredictable mood swings. In a world where weather patterns are becoming more intense and harder to predict, having a powerful, reliable tool like iHurricane Sky View for real-time weather insights is absolutely essential. We’re going to explore what makes this platform stand out, how it helps you track severe weather events, especially hurricanes, and why it’s a crucial part of your preparedness toolkit. From detailed weather monitoring to actionable safety information , we’ll break down every aspect that makes iHurricane Sky View an indispensable resource. Get ready to gain a crystal-clear understanding of the skies above and how this amazing technology empowers you to make informed decisions for your safety and property. We’re talking about next-level weather forecasting and storm tracking that brings satellite data right to your fingertips, simplifying complex meteorological information into easy-to-understand visuals. This comprehensive guide will arm you with everything you need to know, from its core functionalities to advanced features, ensuring you maximize its potential for personal safety , business continuity , and simply for staying informed. So, buckle up, because we’re about to embark on a journey through the powerful capabilities of iHurricane Sky View, your ultimate partner in weather readiness and storm awareness . It’s about empowering you with knowledge, giving you the upper hand when adverse weather conditions strike, providing unparalleled situational awareness through its intuitive interface and accurate predictions . Trust me, by the end of this article, you’ll understand why having iHurricane Sky View is like having a team of meteorologists dedicated to keeping you safe and informed, offering precise location-based data and early warning systems that truly make a difference in critical moments. Let’s get started on understanding how this powerful tool can be your best friend when the skies turn gray and the winds pick up, making sure you’re always one step ahead with its advanced meteorological analysis and data visualization capabilities .

What is iHurricane Sky View and How Does It Work?

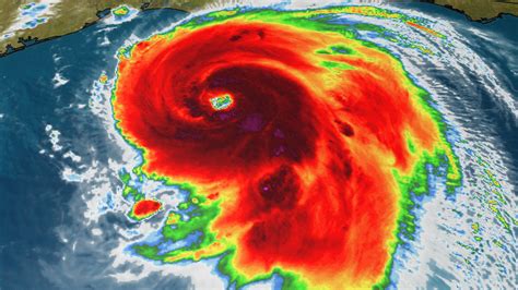
So, what exactly is iHurricane Sky View , and how does it manage to give us such incredible real-time weather insights ? At its core, iHurricane Sky View is an advanced weather monitoring platform designed to provide highly detailed and immediate information about weather phenomena, with a particular emphasis on hurricanes and severe storms. It’s built on a sophisticated architecture that aggregates data from a multitude of sources, creating a comprehensive and dynamic picture of current and future weather conditions . Imagine a global network of eyes and ears constantly feeding information into a supercomputer – that’s essentially what’s happening behind the scenes. This incredible system pulls data from high-resolution geostationary and polar-orbiting satellites, which provide visible, infrared, and water vapor imagery, giving us a top-down sky view of cloud formations, storm structures, and atmospheric moisture. It integrates information from ground-based Doppler radar systems, which are crucial for detecting precipitation, wind shear, and the tell-tale signs of tornadic activity. Furthermore, it incorporates data from a vast network of surface weather stations, buoys, and atmospheric soundings that provide ground-level readings of temperature, humidity, pressure, and wind speed. All of this raw data, collected from various national and international meteorological organizations like NOAA, ECMWF, and others, is then fed into highly advanced numerical weather prediction (NWP) models. These models, which run on powerful supercomputers, process billions of data points to create forecasts and predictive tracks for weather systems. What makes iHurricane Sky View truly special, however, is its ability to fuse this disparate data, apply proprietary algorithms for data enhancement and visualization , and then present it in an incredibly intuitive and user-friendly interface. This means that complex meteorological data, which would typically require a meteorologist to interpret, is transformed into easy-to-understand maps , interactive charts , and actionable alerts for the everyday user. It’s not just about showing you where a storm is; it’s about showing you its projected path , intensity changes , potential impacts , and historical context , allowing for unparalleled situational awareness . This deep dive into data analytics and predictive modeling ensures that users receive not just raw information, but truly insightful weather intelligence , empowering them to make proactive decisions regarding safety and preparedness . Its continuous data refresh cycles ensure that the information you’re seeing is always the most current, reflecting the very latest atmospheric conditions and model runs, which is absolutely vital when tracking fast-moving or rapidly intensifying storms, offering a robust solution for critical decision-making in adverse weather scenarios, providing a truly comprehensive weather overview that surpasses standard applications.

Moving on, let’s talk about the user experience and how iHurricane Sky View translates all that complex data into something we can all understand and use effectively. This platform isn’t just about collecting data; it’s about making that data accessible and meaningful to everyone, regardless of their meteorological background. Once all the raw information is gathered and processed by sophisticated algorithms and predictive models , iHurricane Sky View works its magic to render it into highly interactive and visually engaging displays . When you open up the app or access the platform, you’re greeted with dynamic maps that can show everything from broad global weather patterns to hyper-local conditions in your immediate vicinity. These maps often feature customizable overlays that allow you to toggle different types of data, such as satellite imagery , Doppler radar , wind speed and direction , precipitation types , temperature anomalies , and even atmospheric pressure . You can zoom in and out, pan across regions, and animate historical and future forecasts to watch weather systems evolve over time. This interactive visualization is paramount, as it helps users grasp the scale and movement of storms in a way that static reports simply cannot. Furthermore, iHurricane Sky View provides detailed storm tracks , complete with cone of uncertainty projections for hurricanes, indicating the most probable path of the storm’s center. These projections are continuously updated as new data becomes available, offering the most current predictions possible. Beyond the visual maps, the platform often includes detailed meteorological charts and graphs that break down specific parameters like rainfall accumulation, wind gusts, and storm surge potential, presented in a clear, digestible format. For those who want to dive deeper, there might be options to view model data directly or access expert analyses from meteorologists. The intuitive interface is designed with the user in mind, making it easy to navigate through various features, set up customized alerts , and access historical weather data for context. This commitment to user-friendliness ensures that whether you’re a seasoned weather watcher or someone just looking for basic safety information , iHurricane Sky View delivers high-quality, actionable insights without overwhelming you with jargon. It’s about empowering you to be your own weather expert , providing the tools to understand potential threats and plan accordingly, making informed decisions about everything from travel plans to securing your home, thus acting as a vital hub for comprehensive weather awareness and proactive disaster preparedness , truly revolutionizing how we interact with and understand atmospheric conditions and their profound implications on our daily lives and surroundings, offering unparalleled clarity in often ambiguous situations and serving as a beacon of reliable information during tumultuous times.

Key Features of iHurricane Sky View

Real-Time Hurricane Tracking

One of the absolute standout features of iHurricane Sky View , and arguably its most critical, is its unparalleled capability for real-time hurricane tracking . When a hurricane forms and begins its ominous journey across the ocean, iHurricane Sky View becomes an indispensable tool for situational awareness and preparedness . Guys, this isn’t just about seeing a dot on a map; it’s about gaining deep insights into the storm’s precision , predictive modeling , and accessing critical safety information that could literally save lives and property. The platform integrates data from a multitude of sophisticated sources – think advanced geostationary satellites like GOES-R series, polar-orbiting satellites providing high-resolution imagery, and specialized reconnaissance aircraft flying directly into the storm’s eye – all of which contribute to an incredibly accurate representation of the hurricane’s current state. This data allows for precise tracking of the storm’s center, its forward speed, and crucial metrics like maximum sustained winds and central pressure, which are vital indicators of its intensity. What’s truly revolutionary is how iHurricane Sky View processes this data to provide highly reliable predictive modeling . It doesn’t just show you where the hurricane is now; it uses state-of-the-art numerical models to project its future path, intensity changes, and potential landfalls. These forecast cones are continuously updated, reflecting the latest model runs and atmospheric conditions, giving you the most current understanding of where the storm is headed and when it might arrive. This dynamic forecasting is crucial for making timely decisions, whether it’s evacuating, boarding up windows, or securing outdoor items. Beyond the raw tracking and prediction, iHurricane Sky View excels in providing critical safety information . This includes detailed breakdowns of potential storm surge , expected rainfall totals that could lead to flooding , and wind impact zones that indicate where the most severe damage is likely to occur. It also often provides information on evacuation routes , shelter locations , and emergency contact details , acting as a comprehensive hub for disaster preparedness . The platform’s ability to offer localized impact forecasts means you can input your specific address and get tailored information on what to expect, making the abstract threat of a hurricane much more concrete and actionable. For anyone living in coastal areas or regions prone to hurricanes, the real-time hurricane tracking provided by iHurricane Sky View is not just a convenience; it’s a lifeline, offering peace of mind through unmatched accuracy and timely warnings , enabling crucial pre-storm planning and post-storm recovery efforts by providing comprehensive damage assessment tools and recovery resource information , truly an all-encompassing solution for hurricane readiness and resilience , setting a new standard for advanced meteorological support and public safety communication .

Advanced Weather Monitoring Beyond Hurricanes

While iHurricane Sky View excels at tracking those monstrous tropical systems, don’t let the