NOAA Hurricane Center Satellites: Tracking Storms
NOAA Hurricane Center Satellites: Tracking Storms
Hey everyone! Ever wondered how we keep tabs on those massive hurricanes and tropical storms brewing out there? Well, a huge part of the answer lies with the NOAA Hurricane Center satellites . These amazing machines are like eyes in the sky, constantly scanning our planet to monitor weather patterns and provide crucial data for forecasting and tracking these powerful weather events. In this article, we’ll dive deep into the world of NOAA’s satellite technology, exploring how these satellites work, what they do, and why they’re so vital for protecting lives and property.
Table of Contents
- The Role of NOAA and Its Satellites
- Geostationary Satellites
- Polar-orbiting Satellites
- How NOAA Satellites Work
- Data Analysis and Forecasting
- Numerical Weather Prediction (NWP) Models
- Storm Tracking and Intensity Analysis
- Warning and Advisory Issuance
- Improving Climate Models
- Importance of NOAA Hurricane Center Satellites
- Challenges and Future of Satellite Technology
- Data Processing and Integration
- Advances in Technology
- Climate Change and Extreme Weather
- Conclusion
The Role of NOAA and Its Satellites
First off, who is NOAA? For those who don’t know, the National Oceanic and Atmospheric Administration (NOAA) is a U.S. government agency that focuses on understanding and predicting changes in the Earth’s environment. They’re basically the go-to guys and gals for everything weather, climate, and coastal resources. And the NOAA hurricane center satellites are absolutely critical to their mission.
NOAA’s satellites are the unsung heroes of hurricane tracking. They provide meteorologists with the data they need to understand these complex systems. They can see the big picture, like storm tracks and overall size. And they can also zoom in on specific aspects, like wind speeds, temperatures, and cloud formations. Without the data that these satellites collect and transmit back to Earth, our ability to forecast and prepare for hurricanes would be severely limited. So, next time you see a hurricane warning, remember that it’s largely thanks to the tireless work of NOAA and its incredible fleet of satellites.
Now, let’s talk about the different types of NOAA satellites that play a role in hurricane tracking. These satellites are designed to observe Earth from space. They use advanced sensors and instruments to collect different types of data, which is then used by meteorologists to analyze storms and make forecasts.
Geostationary Satellites
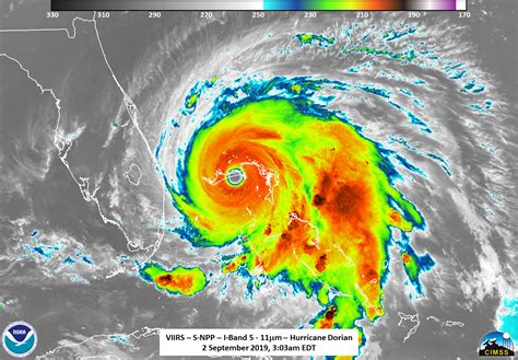
Geostationary satellites are positioned high above the Earth, orbiting at the same rate as the planet rotates. This means they stay in a fixed position relative to the Earth’s surface, constantly monitoring the same area. This is super helpful because it allows meteorologists to continuously track storms and see how they are evolving in real-time. For hurricane tracking, geostationary satellites are like having a permanent webcam pointed at the storm. They provide frequent images, typically every few minutes, that allow forecasters to monitor cloud patterns, storm movement, and intensity changes.
One of the most important geostationary satellite systems used by NOAA is the Geostationary Operational Environmental Satellite (GOES) series. GOES satellites are equipped with a variety of instruments that collect data on cloud cover, temperatures, water vapor, and lightning. The information is transmitted back to Earth, where it is processed and analyzed to provide a comprehensive view of the hurricane. The GOES system allows us to keep an eye on developing tropical disturbances, allowing us to issue timely warnings, giving people enough time to prepare for the storm. Because geostationary satellites are always “looking” at the same spot, they provide invaluable data on hurricane intensity changes, track fluctuations, and the overall evolution of the storm.
Polar-orbiting Satellites
On the other hand, polar-orbiting satellites orbit the Earth from pole to pole, passing over different parts of the planet. These satellites provide a more detailed view of the atmosphere and oceans, and they are critical for collecting data that helps to improve hurricane forecasts. They don’t stay in one spot like geostationary satellites; instead, they circle the Earth, gathering data on atmospheric conditions, sea surface temperatures, and other important factors.
Polar-orbiting satellites also carry advanced sensors that can measure things like rainfall rates and wind speeds. This information is combined with data from other sources to create a more complete picture of the hurricane. One of the key advantages of polar-orbiting satellites is their ability to gather high-resolution data that complements the data collected by geostationary satellites. They provide detailed information about the storm’s structure, cloud heights, and precipitation patterns. This helps forecasters to better understand the storm’s intensity and its potential impacts. One of the key polar-orbiting satellite systems is the Joint Polar Satellite System (JPSS). JPSS satellites carry advanced instruments that provide crucial data for weather forecasting, climate monitoring, and environmental applications.
How NOAA Satellites Work
Alright, so we know what these satellites do, but how do they actually do it? The process is pretty fascinating, combining cutting-edge technology and clever data analysis. The key is in the instruments these satellites carry, which are like super-powered eyes that can see things we can’t with the naked eye.
NOAA hurricane center satellites are equipped with various sensors and instruments designed to collect different types of data. These instruments work by measuring different aspects of the environment, such as cloud cover, temperature, moisture, wind speed, and precipitation. This information is then transmitted back to Earth, where it is processed and analyzed by meteorologists.
- Sensors: These are the workhorses of the satellite, designed to measure different things. Some sensors measure the temperature of the ocean surface. Others can detect the amount of water vapor in the air. Still, others measure wind speeds near the surface. The different types of sensors allow meteorologists to gain a comprehensive understanding of the hurricane and its potential impacts.
- Data Transmission: The data collected by the sensors is then beamed back to Earth using radio signals. Think of it like a giant Wi-Fi connection from space.
- Data Processing: Once the data reaches Earth, it’s processed and analyzed. Meteorologists use sophisticated computer models and their expertise to interpret the data, creating forecasts, tracking storm paths, and issuing warnings.
These satellites use a variety of remote sensing techniques to gather data. The most common techniques include:
- Infrared imaging: measures the heat emitted by the Earth’s surface and clouds.
- Microwave imaging: detects the presence of water vapor and precipitation.
- Visible imaging: captures images of the Earth’s surface and cloud cover.
By combining data from these different sensors and techniques, NOAA satellites provide a detailed and comprehensive view of hurricanes and other weather events. This helps to improve the accuracy of weather forecasts and to provide timely warnings to protect lives and property.
Data Analysis and Forecasting
So, what happens to all this data? It’s not just pretty pictures, folks! The information collected by NOAA hurricane center satellites is essential for creating accurate forecasts and understanding the behavior of hurricanes. Here’s a breakdown of how the data is used.
Numerical Weather Prediction (NWP) Models
These are complex computer models that use mathematical equations to simulate the atmosphere. The data from the satellites is fed into these models, helping them to predict the future state of the atmosphere, including the track and intensity of hurricanes. Think of these models as incredibly powerful crystal balls that use satellite data to see the future.
Storm Tracking and Intensity Analysis
Forecasters use satellite imagery to monitor the movement and changes in intensity of hurricanes. They can identify the eye of the storm, track its progress, and assess changes in wind speed, rainfall, and overall storm structure. This helps to determine when and where a hurricane might make landfall and what kind of impact it might have.
Warning and Advisory Issuance
The data is crucial for issuing timely and accurate warnings and advisories. These alerts provide crucial information to the public and emergency managers, helping them prepare for potential hazards such as high winds, storm surge, and heavy rainfall. Without this data, these warnings would not be possible.
Improving Climate Models
Long-term data collected by NOAA satellites is also used to improve our understanding of climate change and its impact on hurricane activity. This helps scientists to predict how the frequency and intensity of hurricanes might change in the future. This data is essential for long-term planning and mitigation efforts.
Importance of NOAA Hurricane Center Satellites
Why are these satellites such a big deal? The simple answer is that they save lives and protect property. They are the backbone of hurricane forecasting and warning systems, providing the data needed to understand, track, and predict these powerful storms. Here’s a look at why they’re so essential:
- Early Warnings: By continuously monitoring the atmosphere, these satellites give us early warnings of developing storms. This allows people to evacuate, prepare their homes, and take other necessary precautions. It gives people time to prepare before a hurricane hits, reducing the number of injuries and deaths.
- Improved Forecasting: They provide crucial information for improving the accuracy of hurricane forecasts. This helps us to better understand a storm’s intensity, track, and potential impacts. Knowing exactly what a hurricane might do is critical for both the public and emergency managers, and these satellites are the foundation of this knowledge.
- Disaster Mitigation: Accurate forecasting helps in disaster preparedness and mitigation efforts. Knowing where a hurricane is likely to make landfall, what areas are at risk of flooding, and what the wind speeds might be allows communities to take proactive steps to minimize damage and save lives.
- Scientific Research: The data collected by the satellites contributes significantly to our understanding of hurricanes and climate change. Scientists use the data to study storm formation, intensification, and the effects of climate change on hurricane activity. This information is critical for long-term planning, policymaking, and building more resilient communities.
Challenges and Future of Satellite Technology
While NOAA hurricane center satellites are incredibly effective, there are always challenges and exciting new developments on the horizon. Here’s a glimpse at some of the hurdles and what the future holds.
Data Processing and Integration
One of the biggest challenges is processing and integrating the massive amount of data that these satellites collect. Scientists are constantly working to develop new algorithms and techniques to handle the data, analyze it efficiently, and deliver it to forecasters in a timely manner. Integrating data from different types of satellites and other sources is another complex task.
Advances in Technology
The future of satellite technology is incredibly bright. Scientists are working on creating new and improved sensors and instruments that will provide even more detailed and accurate data. These advancements include high-resolution imaging, more sophisticated atmospheric measurements, and the ability to measure a wider range of environmental parameters.
Climate Change and Extreme Weather
As the climate changes, the frequency and intensity of extreme weather events, including hurricanes, are expected to increase. This means that the role of NOAA hurricane center satellites will become even more important in the years to come. The data they collect is crucial for understanding the impact of climate change on hurricane activity and for developing strategies to mitigate its effects.
Conclusion
So there you have it, folks! The NOAA hurricane center satellites are an indispensable part of our ability to track and understand hurricanes. They’re like the unsung heroes working around the clock to keep us safe. From the geostationary satellites that give us a constant eye on the storm to the polar-orbiting satellites that provide detailed data, these technological marvels work together to provide crucial information. By understanding how these satellites work, the data they collect, and their impact, we can appreciate the important role they play in protecting us from these powerful forces of nature. So, next time a hurricane warning comes your way, remember the amazing technology that’s keeping you informed and safe. Keep an eye on the skies, stay informed, and stay safe out there!