OSC NOAA Satellite Imagery Maps: Your Ultimate Guide

M.Myconferencesuite 50 views
OSC NOAA Satellite Imagery Maps: Your Ultimate Guide

OSC NOAA Satellite Imagery Maps: Your Ultimate Guide

Hey guys! Ever wondered how we get those stunning images of Earth from space? A big part of it comes from OSC NOAA satellite imagery maps . These maps are like the superheroes of weather forecasting, environmental monitoring, and a whole lot more. Let’s dive into what they are, how they work, and why they’re super important.

What are OSC NOAA Satellite Imagery Maps?

First off, let’s break down what we’re talking about. OSC stands for the Office of Satellite and Product Operations, which is part of NOAA (National Oceanic and Atmospheric Administration). NOAA is a U.S. agency focused on understanding and predicting changes in climate, weather, ocean, and coasts. Their satellites capture a ton of data, which is then turned into these awesome imagery maps.

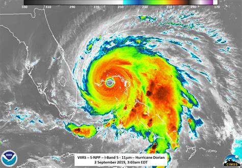
Think of these maps as detailed snapshots of our planet taken from space. They show everything from cloud cover and sea surface temperatures to vegetation health and ice distribution. The satellites use various sensors to collect data across different parts of the electromagnetic spectrum, including visible light, infrared, and microwave radiation. Each type of data provides unique insights. For example, visible light imagery gives us a view similar to what our eyes would see, while infrared imagery can show temperature differences, even at night. Infrared technology is critical for monitoring cloud temperatures and identifying severe weather systems.

These maps aren’t just pretty pictures; they’re packed with information that scientists, meteorologists, and even everyday folks can use. Whether you’re tracking a hurricane, monitoring drought conditions, or just curious about the weather, OSC NOAA satellite imagery maps provide a wealth of valuable data. The data resolution can vary, with some images showing incredibly fine details while others provide a broader overview. The frequency of updates also varies, with some satellites providing near real-time imagery, allowing for timely monitoring of rapidly changing events. This real-time aspect is particularly vital for disaster management, where up-to-the-minute information can save lives and property.

Moreover, the accuracy and reliability of these maps are continuously improving thanks to advancements in satellite technology and data processing techniques. Regular calibration and validation efforts ensure the data remains consistent and trustworthy. This continuous improvement is paramount for long-term climate studies, where even small discrepancies can lead to significant errors in analysis. The historical archive of OSC NOAA satellite imagery also provides a valuable resource for studying long-term environmental changes, such as deforestation, urbanization, and glacial retreat. By comparing imagery from different time periods, scientists can gain insights into the patterns and drivers of these changes, helping them to develop effective strategies for mitigation and adaptation. In addition to their scientific applications, these maps also play a crucial role in various economic sectors, including agriculture, fisheries, and transportation. Farmers can use satellite imagery to assess crop health and optimize irrigation, while fishermen can identify areas with favorable fishing conditions based on sea surface temperatures and ocean currents. Similarly, transportation companies can use weather forecasts derived from satellite data to plan routes and avoid hazardous conditions, ensuring the safe and efficient movement of goods and people.

How Do They Work?

Alright, so how do these maps actually come to life? It all starts with the satellites themselves. NOAA operates a fleet of geostationary and polar-orbiting satellites. Geostationary satellites hover over a fixed spot on Earth, providing continuous coverage of the same area. Polar-orbiting satellites, on the other hand, circle the Earth from pole to pole, offering complete global coverage but with less frequent updates for any given location.

Each satellite is equipped with a range of sensors that measure different aspects of the Earth’s surface and atmosphere. These sensors collect data in the form of electromagnetic radiation. The data is then transmitted back to ground stations, where it undergoes extensive processing. This processing includes correcting for distortions, calibrating the sensors, and converting the raw data into meaningful information. Algorithms are applied to enhance image quality, remove noise, and extract specific features, such as cloud types or vegetation indices. Advanced image processing techniques are crucial for making the data usable and accurate.

The processed data is then used to create the imagery maps we see. Different colors and shades are used to represent different values, making it easy to interpret the information. For example, in sea surface temperature maps, warmer temperatures might be shown in red, while cooler temperatures are shown in blue. Similarly, in vegetation maps, healthy vegetation might be shown in green, while stressed vegetation is shown in brown. The choice of color palettes is carefully considered to ensure that the information is conveyed effectively and intuitively. Color scales are often chosen to maximize contrast and highlight important features, while also being accessible to people with color vision deficiencies. In addition to color coding, other visual cues, such as contours and symbols, may be used to represent additional information. For instance, contours can be used to show lines of equal temperature or pressure, while symbols can be used to indicate the location of weather stations or other points of interest. These visual aids help to enhance the clarity and usability of the maps, making them a valuable tool for a wide range of users.

Furthermore, the creation of these maps involves a collaborative effort between scientists, engineers, and software developers. Scientists develop the algorithms and models used to process the data, while engineers design and maintain the satellites and sensors. Software developers create the tools and interfaces used to visualize and analyze the data. This interdisciplinary collaboration is essential for ensuring that the maps are accurate, reliable, and accessible to a broad audience. The maps are typically made available online through various platforms, including NOAA’s website and other data portals. Users can access the maps for free and use them for a variety of purposes, such as weather forecasting, environmental monitoring, and research. The availability of these maps promotes transparency and facilitates informed decision-making by governments, businesses, and individuals.

Why Are They Important?

So, why should you care about these maps? Well, for starters, they’re essential for weather forecasting. By monitoring cloud patterns, temperature changes, and atmospheric conditions, meteorologists can make more accurate predictions about the weather. This helps us plan our daily activities, prepare for severe weather events, and stay safe.

But the importance of OSC NOAA satellite imagery maps goes way beyond just weather. They’re also crucial for environmental monitoring. These maps can track deforestation, monitor pollution levels, and assess the health of ecosystems. This information is vital for understanding the impacts of human activities on the environment and developing strategies for conservation. For example, satellite imagery can be used to track the spread of invasive species, monitor the effectiveness of conservation efforts, and assess the impact of climate change on vulnerable ecosystems. In addition to their role in environmental monitoring, these maps also play a key role in disaster management. During natural disasters, such as hurricanes, floods, and wildfires, satellite imagery can provide real-time information about the extent of the damage, helping emergency responders to allocate resources effectively and save lives. Satellite imagery can also be used to monitor the movement of floodwaters, track the spread of wildfires, and assess the stability of land slopes, providing valuable information for disaster preparedness and mitigation.

Moreover, the data derived from these maps is used in a wide range of research applications. Scientists use satellite data to study climate change, ocean currents, and atmospheric processes. This research helps us to better understand the complex interactions within the Earth system and develop solutions to some of the most pressing environmental challenges facing our planet. For instance, satellite data can be used to track the melting of glaciers and ice sheets, monitor changes in sea level, and assess the impact of greenhouse gas emissions on global temperatures. The long-term record of satellite data provides a valuable resource for studying these changes over time and identifying trends that might not be apparent from ground-based observations alone. In addition to their scientific value, these maps also have significant economic benefits. Farmers use satellite imagery to optimize their planting and harvesting schedules, while fishermen use it to identify areas with abundant fish stocks. Transportation companies use weather forecasts derived from satellite data to plan their routes and avoid hazardous conditions, ensuring the safe and efficient movement of goods and people. The economic value of these maps is estimated to be in the billions of dollars each year, highlighting their importance to a wide range of industries.

Examples of Use

Let’s get into some specific examples to really drive this home:

  • Hurricane Tracking: Satellite imagery allows us to see hurricanes forming and track their movement. This helps communities prepare for potential impacts and evacuate if necessary.
  • Wildfire Monitoring: Satellites can detect wildfires and monitor their spread, helping firefighters to contain them quickly.
  • Agricultural Monitoring: Farmers use satellite imagery to assess crop health and identify areas that need irrigation or fertilization.
  • Ice Cover Analysis: Scientists track the extent of sea ice and glaciers using satellite imagery, providing insights into climate change.

Accessing OSC NOAA Satellite Imagery Maps

Want to check out these maps for yourself? You can access them through NOAA’s website and various other online platforms. Many of these resources are free to use, making them accessible to anyone with an internet connection. NOAA provides detailed documentation and tutorials to help users navigate the data and interpret the imagery. The maps are typically available in various formats, including static images, animated loops, and interactive web applications. Users can zoom in and out, pan across the map, and overlay additional layers of information, such as weather forecasts and geographical boundaries. Some platforms also allow users to download the raw data for further analysis.

In addition to NOAA’s website, there are also several third-party websites and mobile apps that provide access to OSC NOAA satellite imagery maps. These platforms often offer additional features, such as customizable alerts, social media integration, and enhanced visualization tools. However, it’s important to ensure that these platforms are using reliable data sources and that the information is presented accurately. Users should always verify the information with official sources before making any decisions based on the imagery.

Conclusion

OSC NOAA satellite imagery maps are a vital tool for understanding our planet. From weather forecasting to environmental monitoring, these maps provide invaluable insights that help us make informed decisions and protect our world. So next time you see a weather report or read about environmental issues, remember the hard work and technology behind those incredible images from space! Stay curious and keep exploring, guys! These maps not only offer a glimpse into the current state of our planet but also provide a historical record that helps us understand long-term trends and changes. By studying these maps, we can gain a deeper appreciation for the complex processes that shape our world and work towards a more sustainable future. The continued development and enhancement of satellite technology and data processing techniques will undoubtedly lead to even more accurate and detailed imagery, further expanding our understanding of the Earth system and its dynamics. As we face increasingly complex environmental challenges, the importance of these maps will only continue to grow, making them an indispensable tool for scientists, policymakers, and the public alike. So, let’s embrace the power of satellite imagery and use it to make informed decisions that benefit both humanity and the planet.