Tracking Hurricane Ipseihelenese: Satellite Insights

M.Myconferencesuite 62 views
Tracking Hurricane Ipseihelenese: Satellite Insights

Tracking Hurricane Ipseihelenese: Satellite Insights

Hey guys! Ever wondered how we keep tabs on those massive storms like Hurricane Ipseihelenese? Well, satellites are our eye in the sky , giving us a crucial peek into the storm’s behavior. Let’s dive into how these incredible tools help us understand and predict these powerful forces of nature. This is super important because the more we know, the better we can prepare and keep everyone safe!

The Role of Satellites in Hurricane Monitoring

Satellites play a pivotal role in tracking hurricanes like Ipseihelenese, providing continuous and comprehensive data that is otherwise impossible to obtain. These sophisticated spacecraft use a variety of sensors to observe the storm’s characteristics, such as its size, intensity, and movement. By capturing images and data across different parts of the electromagnetic spectrum, including visible light, infrared radiation, and microwaves, satellites offer a multifaceted view of the hurricane. This allows meteorologists to monitor cloud patterns, temperature variations, and precipitation rates within the storm. Furthermore, satellite data is essential for creating accurate weather models, which are used to forecast the hurricane’s future path and strength. Geostationary satellites, positioned at a fixed point above the Earth, provide continuous monitoring of the same area, allowing for real-time tracking of the hurricane’s progress. Polar-orbiting satellites, on the other hand, offer more detailed snapshots as they circle the Earth, passing over different regions with each orbit. Together, these satellite systems form a critical infrastructure for early warning and disaster preparedness, enabling timely evacuations and minimizing the impact on vulnerable communities. For instance, data from satellites helped predict the intensity and trajectory of Hurricane Ipseihelenese, allowing authorities to issue timely warnings and initiate necessary precautions, potentially saving lives and reducing property damage. The advanced technology of these satellites not only enhances our understanding of hurricanes but also significantly improves our ability to respond effectively to these devastating events.

Types of Satellite Data Used

When it comes to tracking a beast like Hurricane Ipseihelenese, we’re not just looking at pretty pictures from space. There’s a whole arsenal of satellite data that scientists use! Visible imagery gives us those classic snapshots of the storm’s swirling clouds, but that’s just the beginning. Infrared data is super cool because it shows us the temperature of the clouds, helping us figure out how strong the storm is, even at night! Then there’s microwave data , which can see through the clouds and give us info about the storm’s structure and rainfall. Each type of data plays a vital role in understanding different aspects of the hurricane. For example, visible imagery helps identify the storm’s eye and overall shape, while infrared data can detect the presence of intense thunderstorms within the hurricane. Microwave data, penetrating through the cloud cover, reveals the storm’s inner core and the distribution of precipitation, providing insights into its intensity and potential for flooding. By combining these different types of satellite data, meteorologists can create a comprehensive picture of the hurricane, enabling more accurate forecasts and timely warnings. The synergistic use of various satellite data types ensures that no critical information is missed, leading to better preparedness and response strategies. This multifaceted approach underscores the importance of investing in diverse satellite technologies to enhance our understanding and management of severe weather events like Hurricane Ipseihelenese.

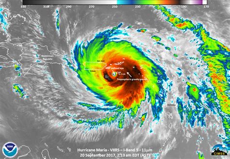
Analyzing Satellite Images of Hurricane Ipseihelenese

Alright, let’s get down to the nitty-gritty of analyzing satellite images of Hurricane Ipseihelenese. What are the key things we look for? First off, the eye of the hurricane is a big one – a well-defined, clear eye usually indicates a stronger storm . The shape and size of the storm are also important. A more circular and compact shape often means the hurricane is well-organized and intensifying. We also pay close attention to the cloud patterns . Are there tightly spiraling rainbands? That’s another sign of a powerful hurricane! And don’t forget about the temperature of the clouds – the colder the cloud tops, the higher they are, and the more intense the storm. Analyzing these features in satellite images allows meteorologists to assess the hurricane’s current state and predict its future behavior. For example, a shrinking eye and increasingly circular shape may indicate that the hurricane is intensifying, while a disorganized cloud structure could suggest that it is weakening. The presence of deep convection, indicated by very cold cloud tops, signifies strong updrafts and heavy precipitation, which can lead to flooding. By carefully examining these characteristics, meteorologists can refine their forecasts and provide more accurate warnings to the public. The ability to analyze satellite images effectively is crucial for understanding the dynamics of hurricanes and mitigating their potential impacts. This detailed analysis helps in identifying critical changes in the storm’s intensity and trajectory, enabling timely and appropriate responses.

Benefits of Satellite Monitoring for Hurricane Prediction

Satellite monitoring offers huge advantages when it comes to predicting where hurricanes like Ipseihelenese are headed and how strong they’ll get. One of the biggest benefits is the continuous coverage they provide. Satellites are always watching, so we never miss a beat. This is especially important when a storm is far out over the ocean and there are no other ways to keep an eye on it. Plus, satellites can gather data in areas that are too dangerous for airplanes or ships. The data collected by satellites is fed into complex computer models that help meteorologists forecast the hurricane’s path and intensity. These models take into account a variety of factors, such as atmospheric conditions, sea surface temperatures, and the storm’s current characteristics. By combining satellite data with these models, forecasters can make more accurate predictions and provide timely warnings to communities in the storm’s path. This allows people to prepare for the storm, evacuate if necessary, and take steps to protect their property. Ultimately, satellite monitoring helps to save lives and reduce the damage caused by hurricanes. The comprehensive and real-time data provided by satellites is indispensable for effective hurricane prediction and disaster preparedness. The ability to continuously monitor storms, even in remote areas, ensures that no potential threat goes unnoticed, allowing for proactive measures to be taken.

Limitations and Challenges

Even with all the amazing technology we have, satellite monitoring isn’t perfect. There are still some limitations and challenges we face when tracking hurricanes like Ipseihelenese. One issue is resolution . While satellites give us a broad view, sometimes the resolution isn’t high enough to see the fine details of the storm. This can make it difficult to accurately assess the storm’s intensity, especially when it’s rapidly changing. Another challenge is dealing with cloud cover . While some satellites can see through clouds, others can’t, which can limit our ability to gather data about the storm’s inner core. Also, satellite data needs to be processed and analyzed, which takes time and expertise. Finally, satellites can fail or experience technical issues, which can disrupt our monitoring efforts. Despite these challenges, scientists are constantly working to improve satellite technology and data analysis techniques. They are developing new sensors that can provide higher resolution data and see through clouds more effectively. They are also improving the computer models used to forecast hurricanes, making them more accurate and reliable. While there will always be some uncertainty in hurricane prediction, ongoing research and development efforts are helping us to better understand and prepare for these powerful storms. The pursuit of enhanced satellite capabilities and advanced analytical methods is crucial for overcoming these limitations and improving our ability to predict and respond to hurricanes effectively.

Future of Satellite Hurricane Monitoring

The future of satellite hurricane monitoring is looking brighter than ever! We’re constantly seeing advancements in technology that promise to give us even better insights into these powerful storms like Ipseihelenese. One exciting development is the use of more advanced sensors that can provide higher resolution data and see through clouds more effectively. This will allow us to get a more detailed look at the storm’s structure and intensity, even when it’s hidden beneath a thick cloud cover. Another promising area of research is the use of artificial intelligence (AI) to analyze satellite data. AI algorithms can quickly and accurately identify patterns and trends in the data, helping meteorologists to make more accurate forecasts. We’re also seeing the development of new satellite missions specifically designed to study hurricanes. These missions will carry advanced sensors and instruments that will provide us with a wealth of new data about these storms. By combining these advancements, we can expect to see significant improvements in our ability to predict hurricane intensity and track their paths. This will lead to more timely and accurate warnings, giving communities more time to prepare for these devastating events. The ongoing investment in satellite technology and research is essential for protecting lives and property from the impacts of hurricanes. The integration of AI and the deployment of specialized satellite missions will revolutionize our understanding of these storms and enhance our ability to mitigate their effects.